Benyks Point Subdivision
Municipal Authority
Manitoba Aboriginal and Northern Affairs
Crown Lands
Existing Subdivision
Location Map |
Road Map |
Subdivision Map |
Survey Plan |
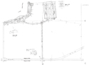
Benyks Point
Average Lot Size: 34 m x 46 m (may vary)
Getting There:
The Benyks Point subdivision is located on the northwest shore of Lake Manitoba about 315km northwest of Winnipeg or approximately 80km northeast from Dauphin. Access is off PR 276 (gravel road), approximately 11km north of the community of Toutes Aides and about 80km from Ste. Rose and Dauphin.
Location and Description of Subdivision
The 24-lot subdivision, accessible directly off PR 276 by a gravel road, consists of Benyks Point north and south which are separated by approximately ½ mile. The subdivision is designed very efficiently with good road access, a public reserve and a public boat launching ramp. The average lot size is 34m x 46m. The waterfront is reasonably attractive but rocky in some areas making access to the water somewhat difficult. The terrain is generally level with an attractive tree cover. There is no sandy public beach at this subdivision, however, there is a beautiful beach at Manipogo Provincial Park approximately 6km south. The subdivision design has provided a natural buffer space between the front lot lines and the lakeshore.
Services
Lots 1-5 and Lots 15 - 18 in Block 2 are not serviced with hydro. Cottage lot holders of these lots in Block 2 would be required to cover all costs associated with servicing this portion of the subdivision with hydro. Individuals are encouraged to contact Manitoba Hydro for cost estimates prior to applying to purchase one of these lots if hydro servicing is desired.
Lots in Block 1 are pre-serviced by Manitoba Hydro, and the lot holder is responsible to contact Manitoba Hydro and pay for cottage hookup.
The subdivision is serviced by MTS, but the lot holder is responsible for contacting MTS to arrange and pay for line extension and cottage hookup.
Limited services are available in the community of Rorketon located approximately 18km south. Full service amenities are available in Ste. Rose, approximately 45 minutes south.
Contact for information and permits:
Sheldon Kowalchuk
Crown Land Management Specialist
75 – 7th Avenue
Gimli, MB R0C 1B0
Phone: 204-641-1176 Fax 204-642-6108
Sheldon.Kowalchuk@gov.mb.ca






